Skip to main content

Uragano Irma: lasciata la Florida provoca due morti in Georgia e uno in Carolina del Sud

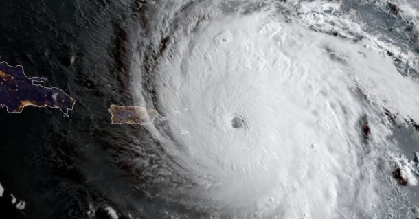
WASHINGTON – Aumenta il bilancio delle vittime dell’uragano Irma. Due morti in Georgia: un sessantaduenne e’ morto mentre saliva su una scala, sotto le macerie del tetto del suo capanno, spazzato dal vento. Un altro uomo di 50 anni era morto alla periferia di Atlanta dopo che un albero era caduto sulla sua casa. Una vittima anche in Carolina del Sud: un cinquantasettenne, colpito dai rami di un albero mentre rimuoveva i detriti fuori della sua abitazione.

Il presidente Usa Donald Trump ha dichiarato lo stato di emergenza anche in Alabama. Lo rende noto la Casa Bianca

 


Paolo Padoin

Già Prefetto di Firenze Mail

Lascia un commento

Il tuo indirizzo email non sarà pubblicato. I campi obbligatori sono contrassegnati *

Firenze Post è una testata on line edita da C.A.T. - Confesercenti Toscana S.R.L.
Registro Operatori della Comunicazione n° 39741
Firenzepost small logo