Uragano Melissa arrivato in Giamaica: venti a 300 chilometri orari, evacuazioni e blackout

(foto NOAA NWS National Hurricane Center)
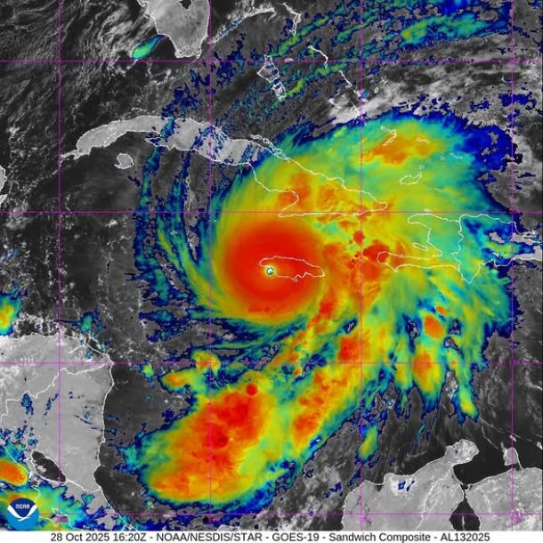
KINGSTONE (GIAMAICA) – L’uragano Melissa è arrivato oggi, 28 ottobre 2025, in Giamaica con la potenza di una tempesta catastrofica di categoria 5, la più forte che abbia mai colpito l’isola caraibica da quando sono iniziate le registrazioni degli evento. Melissa ha toccato terra a New Hope, nel Sud dell’isola, accompagnato da venti a 185 miglia, quasi 300 chilometri orari. con la potenza di una tempesta catastrofica di categoria 5, la più forte che abbia mai colpito l’isola caraibica da quando sono iniziate le registrazioni degli eventi, 174 anni fa.
Sono attese inondazioni improvvise e mareggiate violente. Le autorità giamaicane hanno invitato la popolazione e i turisti a trovare riparo nei rifugi e a non uscire, circa un terzo del paese è già senza elettricità. Il ministro Desmond McKenzie ha lanciato un appello all’estrema prudenza: “Non si può scommettere contro Melissa – è una scommessa che non possiamo vincere.”
CUBA – Le autorità cubane stanno provvedendo all’evacuazione di oltre 600mila persone, anche da Santiago che è la seconda città più grande dell’isola, in vista dell’arrivo dell’uragano. La tempesta, secondo quanto riferito dal direttore del Centro nazionale uragani Usa a Miami, Michael Brennan, raggiungerà la terraferma nella parte orientale di Cuba nella tarda serata locale di martedì o nelle prime ore di mercoledì 29 ottobre.
